Lóðir í Tunguhverfi lausar til umsókna

Lausar eru til umsókna raðhúsalóðir í Tunguhverfi á Ísafirði.

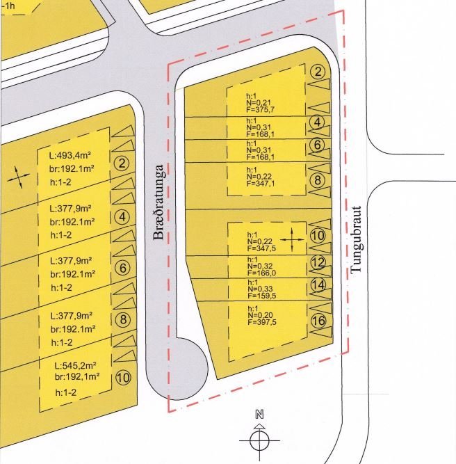
Lóðirnar sem um ræðir eru Tungubraut 10, 12, 14 og 16 og Bræðratunga 2, 4, 6, 8 og 10.

Tungubraut 10-16 er fjögurra íbúða raðhúsalóð með íbúðum á einni hæð.

Stærð lóðar 10 er 347,5 m². 
Lóðagrunnur Tungubraut 10

Stærð lóðar 12 er 166 m².
Lóðagrunnur Tungubraut 12

Stærð lóðar 14 er 159,6 m².
Lóðagrunnur Tungubraut 14

Stærð lóðar 16 er 397,5 m².
Lóðagrunnur Tungubraut 16

Bræðratunga 2-10 er fimm íbúða raðhúsalóð með íbúðum á einni til tveimur hæðum.

Stærð lóðar 2 er 493,4 m².

Stærð lóðar 4 er 377,9 m².

Stærð lóðar 6 er 377,9 m².

Stærð lóðar 8 er 377,9 m².

Stærð lóðar 10 er 545,2 m².

Skipulagsuppdráttur svæðisins.


Sótt er um lóð í gegnum þjónustugátt Ísafjarðarbæjar.

Umsóknareyðublöð má einnig nálgast á bæjarskrifstofu Ísafjarðarbæjar í Stjórnsýsluhúsi Hafnarstræti 1, Ísafirði, 2. hæð og hjá skipulag@isafjordur.is .

Vakin er athygli á reglum Ísafjarðarbæjar um úthlutun lóða.